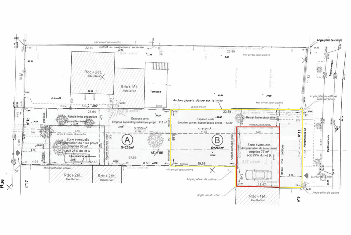
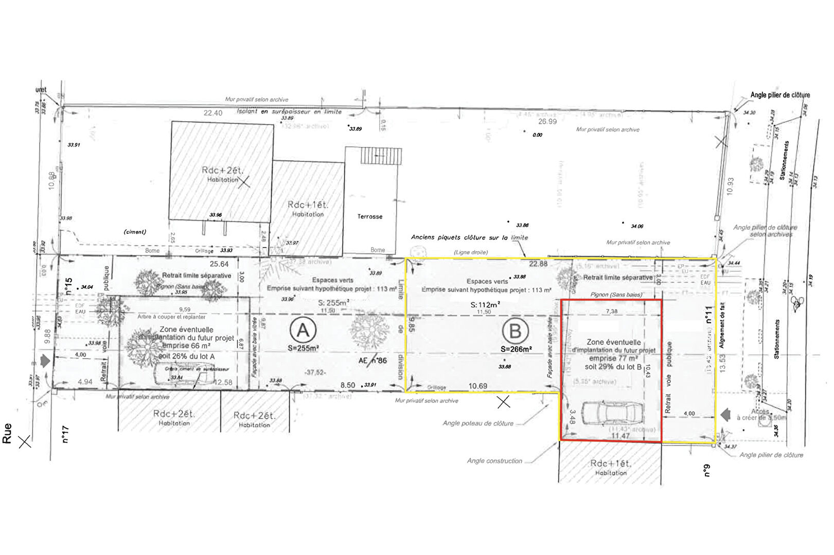
Terrain constructible de 266 m² situé dans le très recherché quartier des Musiciens, à environ 10 minutes à pied du RER A Nanterre Ville. Environnement calme et résidentiel, à proximité immédiate des établissements scolaires, crèches, bibliothèque, commerces, supermarchés et autres commodités.
Projet :
Possibilité de construction d’une maison avec une emprise au sol d’environ 66 m², sur deux niveaux plus combles.
Caractéristiques du terrain :
Largeur : 13,53 m
Longueur : 22,88 m
Prenez contact avec Adrien SAVVA au 06_81_82_62_54 pour toute information sur le terrain.
Selon l’article L. 561-5 du Code monétaire et financier, la copie de votre pièce d’identité ou de votre passeport sera demandée pour chaque visite.
Les informations sur les risques auxquels ce bien est exposé sont disponibles sur le site Géorisques http://www.georisques.gouv.fr



